قرار رئيس مجلس الوزراء
رقم ٤١٤٥ لسنة ٢٠٢٢
رئيس مجلس الوزراء
بعد الاطلاع على الدستور :
وعلى قانون نظام الإدارة المحلية الصادر بالقانون رقم ٤٣ لسنة ١٩٧٩ولائحته التنفيذية :
وعلى القانون رقم ١٠ لسنة ۱۹۹۰ بشأن نزع ملكية العقارات للمنفعة العامة ولائحته التنفيذية :
وعلى قرار رئيس الجمهورية رقم ۲۷۹ لسنة ۲۰۱۸ بالتفويض في بعض الاختصاصات :
وعلى قرار رئيس مجلس الوزراء رقم ۸۱۸ لسنة ۲۰۱۱ بشأن اعتبار مشروع تنفيذ محطة رفع الصرف الصحى بعزبة المشارقة بناحية المنصورية ، محافظة الجيزة ، من أعمال المنفعة العامة والمعدل بالقرار رقم ٥٠ لسنة ٢٠١٢ :
وبناء على ما عرضه وزير الإسكان والمرافق والمجتمعات العمرانية :
قرر :
(المادة الأولى)
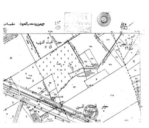
يعتبر من أعمال المنفعة العامة مشروع محطة رفع الصرف الصحى المشارقة بناحية المنصورية - محافظة الجيزة، والواقع بحوض الهيئة الغربي نمرة (۳۱)، بمسطح قيراط واحد و (٦,٧٥) سهم تقريباً ، وذلك لصالح الجهاز التنفيذى لمياه الشرب والصرف الصحى .
(المادة الثانية)
يستولى بطريق التنفيذ المباشر على الأرض اللازمة لتنفيذ المشروع المشار إليه في المادة السابقة ، والمبين موقعها وحدودها وأسماء ملاكها الظاهرين بالمذكرة والخريطة المساحية والكشف المرفقين .
(المادة الثالثة)
ينشر هذا القرار في الجريدة الرسمية .
صدر برئاسة مجلس الوزراء في ٢٠ ربيع الآخر سنة ١٤٤٤ هـ
) الموافق ١٤ نوفمبر سنة ٢٠٢٢ م ) .
رئيس مجلس الوزراء
دكتور / مصطفى كمال مدبولي
وزارة الإسكان والمرافق والمجتمعات العمرانية
مذكرة
للعرض على السيد الأستاذ الدكتور رئيس مجلس الوزراء
بخصوص استصدار قرار منفعة عامة محطة رفع الصرف الصحى المشارقة
بناحية المنصورية - محافظة الجيزة
أود التفضل بالإحاطة بأنه صدر قرار المنفعة العامة رقم ٥٠ لسنة ٢٠١٢ باعتبار مشروع محطة رفع الصرف الصحى المشارقة بناحية المنصورية محافظة الجيزة من أعمال المنفعة العامة وتم نشره بالجريدة الرسمية بالعدد رقم (۳) بتاريخ ۲۰۱۲/۱/۱۹ وتم إدراجه تحت رقم مشروع (۷۸۹) صرف صحی
ورد كتاب السيد المهندس مدير مديرية المساحة بالجيزة رقم (۳۳۰۲) بتاريخ ۲۰۲۲/۹/۱۲ يطالب الجهاز التنفيذى لمياه الشرب والصرف الصحى بقرار منفعة عامة جديد للمشروع والواقع بحوض الهيشة الغربي نمرة (۳۱) بناحية المنصورية بمسطح قيراط واحد ٦,٧٥ سهم) تقريبا والمحددة على الخريطة المساحية رقم (٦١٨/٨٢٥) وقد تم الحصول على المستندات الآتية :
1- موافقة السيد الأستاذ وزير الزراعة واستصلاح الأراضي .
2 - كشف بأسماء الملاك الظاهرين المعد بمعرفة مديرية المساحة بالجيزة .
3- موافقة المجلس التنفيذى لمحافظة الجيزة على إقامة المشروع .
وقد تم إبداع الشيك رقم ۲۵۳۷۰٥٤ بمبلغ ۱۳۶۰۰۰ جنيه (فقط مائة وستة وثلاثون ألف جنيه لا غير) بخزينة مديرية المساحة بالجيزة تحت حساب التعويضات المبدئية .
فالأمر معروض على سيادتكم للتفضل بالموافقة على إصدار قرار منفعة عامة للمشروع عاليه لصالح الجهاز التنفيذى لمياه الشرب والصرف الصحى .
والأمر مفوض
وزير الإسكان
والمرافق والمجتمعات العمرانية
أ.د.م / عاصم الجزار




